◆◇バス停・コンビニ目の前!!◇◆
藤枝静岡線に面した好立地の土地!
交通量が多く、店舗用地に最適(*'▽')
目の前にはバス停とコンビニがあり、視認性がUP!!\(^o^)/
南側道路のため陽当り良好☀
商業施設も多数あり生活利便良好です!!
売土地 売土地:駿河区丸子一丁目
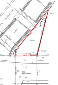
静岡市駿河区丸子一丁目709番11
【Map】
価格1,409.52万円
- 所在地
- 静岡市駿河区丸子一丁目709番11
- 価格
- 1,409.52万円
- 特徴
- ●河川占用許可有
- 土地
-
面積:110.97㎡(33.56坪)
地目:宅地
権利:所有権
- 用途
-
都市計画:市街化区域
用途地域:第二種住居地域
建蔽率/容積率:60%/200%
法令:高度地区:最高限3種(19m)
都市再生特別措置法
屋外広告物規制:第一種普通規制地域
- 建物
-
面積:
構造:
築年数:
種類:
間取り:
現況:
駐車場:
- 接道
- 南東側幅員約12.6m(歩道含む)公道に間口約9.45m接面
- 設備
- 公営上水/浄化槽
- 備考
- ◎現況:既存建物あり
◎引渡条件:建物解体更地渡し
◎引渡日:相談
◎学区:長田西小学校・長田西中学校

(9:00〜18:00 ※祝日を除く)